آفت سنک بذرخوار کلزا چیست؟ نحوه مبارزه با آن
آفت سنک بذرخوار کلزا
سنک بذرخوار کلزا با نام علمی Nysius cymoides یکی از گونه های با اهمیت اقتصادی بالا است که در مرحله ی گلدهی و تشکیل بذر به کلزا خسارت وارد می کند. این آفت دامنه ی میزبانی وسیعی دارد. سنک بذرخوار در سال های گذشته در مزارع کلزا به عنوان آفت پایان فصل فعالیت کرده است. حشرات کامل آن در پایان فصل رشد کلزا و همزمان با رسیدن غلاف ها، دانه ها و حتی پس از برداشت با تراکم بالا در مزارع وجود داشتند.
این آفت به دلیل جمعیت زیاد، در بعضی مواقع به مزارع و باغ های مجاور حمله می کند و باعث خسارت می شود.

پراکنش سنک کلزا
سنک کلزا به طور گسترده در اروپا، آفریقای شمالی و خاورمیانه وجود دارد. این آفت موجب وارد آمدن خسارت اقتصادی به محصولات کشاورزی در حوضه ی مدیترانه شده است. نقشه پراکنش جغرافیایی این آفت در ایران نشان از حضور آن در اکثر مناطق به جز مرکز و شرق کشور دارد.
گیاهان میزبان سنک بذرخوار کلزا
با توجه به پلی فاژ (چند میزبانه) بودن سنک، پس از برداشت محصول کلزا و گرم شدن هوا جمعیت آنها به صورت گروهی مشاهده می شود. این حشرات گاهی در دسته های میلیونی به گیاهان زراعی (صیفی جات، وغیره)، محصولات باغی (درختان مثمر و غیرمثمر)، نهالستان های همجوار و حتی مناطق مسکونی هجوم می آورند و در زمان اندک خسارت زیادی به این محصولات وارد می کنند. از این رو کنترل به موقع این آفت امری ضروری است.
شکل شناسی سنک بذر خوار کلزا
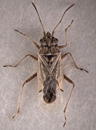
حشره کامل رنگ خاکستری و بال های شفافی دارد . طول بدن آن بین ۳ تا ۴ میلی متر است. از لحاظ ظاهری بین جنس نر و ماده تفاوت هایی وجود دارد.
حشره ی نر
حشره ی نر بدنی به طول ۳ تا ۳.۲ میلیمترو عرض ۰.۷ میلی متر دارد. جنس نر از ماده اندکی کوچکتر، باریکتر، تیره تر است و شکمی سیاه با چشم های مرکب کاملا برجسته و سری روشن تر با پوزه درازتر دارد. نرها از طول عمر بیشتری نسبت به ماده برخوردار هستند.

حشره نر سنک بذر خوار کلزا
حشره ی ماده
جثه جنس ماده نسبت به جنس نر کم و بیش بزرگتر و رنگ آن روشن تر است . ماده به رنگ کرم تا قهوه ای روشن و طول بدن آن ۴ و عرض بدن ۱.۴ میلی متر است. تخم ریزی ماده از زیر شکم نمایان می شود.

حشره ماده سنک بذر خوار کلزا
تخم ها
تخم های سنک که رنگ خاکستری مایل به زرد و لیمویی دارند، در انتها باریک و در وسط پهن تر هستند. طول این تخم ها ۰.۹ تا ۰.۹۷ و عرض ۰.۲۳ تا ۰.۳ میلی متر است. این حشره تخم های خود را روی خاک، شکاف زمین، کف مزرعه و روی بذور ریخته شده و بقایای گیاهی کف مزرعه می گذارد. اکثر این تخم ها تفریخ می شوند و موجب افزایش زاد و ولد جمعیت این آفت می گردند.
پوره ها
سنک بذرخوار رشد تدریجی (دگردیسی تدریجی) دارد، از این رو پوره ها کم و بیش شبیه حشره کامل هستند و پنج سن پورگی دارند. طول آنها از ۱.۲ تا ۳.۲ میلیمتر متغیر است.
زیست شناسی سنک کلزا
این آفت خواب زمستانه (دیاپوز اجباری) ندارد و زمستان را به صورت حشره کامل در زیر بقایای گیاهی پیرامون باغات و اماکن مسکونی سپری می کند که شرایط مساعدی دارند و در فصل بهار با گرم شدن هوا شروع به فعالیت می نماید. این حشره در دمای پایینتر از ۱۵درجه سانتیگراد فعالیت ندارد و در دمای بالای ۱۷درجه سانتی گراد شروع به فعالیت و تغذیه می نماید. دمای مناسب برای فعالیت و تغذیه این حشره ۲۸ تا ۳۰ درجه سانتی گراد است و در دمای بالای ۳۰ درجه سانتی گراد، مزارع کلزا را ترک می کند و به مزارع و باغات هم جوار مهاجرت می نماید. به نظر می رسد نبود رطوبت در خاک و دمای بالای ۳۰ درجه سانتی گراد برای فعالیت این حشره مناسب نیست.
خسارت سنک بذر خوار
حشره نابالغ و کامل موجب ایجاد خسارت می شود. این آفت با تغذیه از شیره گیاهی (بذر و اندام های آبدار گیاهی) باعث خشک شدن و پژمردگی بافت گیاه می گردد. محل تغذیه که اغلب با تغییر رنگ از زرد مایل به قهوه ای شروع می شود، به صورت نکروز توسعه می یابد و در این صورت ممکن است کاهش وزن دانه ها هم اتفاق بیفتد. انبوهی جمعیت سنک به ویژه در هنگام برداشت محصول کلزا، اهمیت آن بهعنوان آفتی با توان افزایش جمعیت بالا نشان می دهد.
آستانه زیان اقتصادی سنک بذرخوار کلزا
آستانه زیان اقتصادی برای مبارزه با گونه های مختلف سنک بذرخوار کلزا بر روی محصولات مختلف بسیار متفاوت گزارش شده است. این زمان بر اساس مطالعات انجام شده روی کلزا، با مشاهده ۵ تا ۲۰ عدد سنک در هر گیاه همراه است.
کنترل سنک بذرخوار در مزارع کلزا
آبیاری غرقابی
روش آبیاری غرقابی به دلیل خفه کردن پوره ها و از بین بردن تخم های این حشره در سطح خاک و یا شکاف های زمین در کنترل جمعیت آن خیلی موثر است. در استان لرستان از چهار مزرعه کلزا انتخاب شده به منظور پایش جمعیت آفت سنک بذر خوار کلزا، دو مزرعه به روش غرقابی (یکی با دور آبیاری ۶ روز و یکی با دور آبیاری ۱۲ روز یکبار) و دو مزرعه به روش بارانی آبیاری شدند. بیشترین جمعیت این حشره در آبیاری بارانی و کمترین جمعیت آن در آبیاری غرقابی با دور ۶ روز یکبار، با تفاوت معنی داری مشاهده گردید. لذا توصیه می شود در صورت امکان برای آبیاری مزارع کلزا از آبیاری غرقابی با فواصل کوتاه (هفته ای یکبار) استفاده گردد.
کنترل شیمیایی
امروزه با توجه به شرایط طغیانی سنک، استفاده از حشره کش ها، رایج ترین روش مبارزه با این آفت است. نرم مبارزه با سنک بذرخوار ۱۰ عدد حشره بالغ و یا ۲۰ عدد پوره روی هر بوته است. درصورت نیاز به مبارزه شیمیایی مزارع کلزا باید بلافاصله اقدام به سمپاشی نمود، زیرا با رشد بوته های کلزا و افزایش حجم کانوپی این گیاه عملا کارآیی محلولپاشی کاهش می یابد و چندان موثر نخواهد بود.
بهترین و کارآمدترین سمپاش برای کنترل سنک بذرخوار در مزارع کلزا، توربولاینر است. زیرا سنک در مراحل اولیه رشد (پورگی) بیشتر در کف زمین و پای بوته ها زندگی می کنند لذا سمپاش فوق الذکر با فشار، آفت کش را به همه قسمت های گیاه می پاشد و در کنترل این آفت موثر است. از آنجایی که جمعیت این آفت در مراحل اولیه ی ظهور در حاشیه مزرعه بیشتر است، لذا در مزارع با جمعیت بالای آفت محلولپاشی با حشره کش ها توصیه می گردد تا با کنترل صحیح و به موقع، اجازه ورود آفت به داخل مزرعه داده نشود، زیرا سمپاشی داخل مزارع به دلیل پوشش متراکم بوته ها دشوار است.
سموم مورد استفاده برای کنترل سنک بذرخوار کلزا
کلرپریفوس 40.۸ درصد امولسیون به نسبت ۱.۵تا ۲ در هزار می توان استفاده کرد.
کلرپریفوس یک حشره کش طیف وسیع با اثر تماسی-گوارشی و تدخینی است که در خاک حدود ۲ تا ۴ ماه دوام دارد و از طریق فاز بخار از محل مصرف شده در خاک به نقاط همجوار منتقل می شود. با توجه به رفتار سنک بذرخوار کلزا به نظر می رسد در مزارع برداشت شده و پرجمعیت این آفت، کاربرد حشره کش مورد اشاره ارجحیت دارد. لازم به توجه است که این حشره کش نباید در محصولاتی مانند گوجه فرنگی به کار رود.
مالاتیون 57 درصد امولسیون به نسبت ۲ در هزار نیز می تواند مورد استفاده قرار گیرد. به علت حساسیت گیاهان تیره کدوئیان نباید از مالاتیون بر روی این دسته از گیاهان استفاده کرد.
دلتامترین % EC 2.5 به مقدار یک لیتر در هکتار نیز برای مبارزه با این آفت قابل استفاده است.